中环置地中心·望雲官方售楼处电话:地处宝山南大智慧城核心,由华润置地、招商蛇口双央企联袂打造,为约 90 万方 TOD 综合体住宅。近 15 号线 万方万象汇商业,生态、教育、交通全维成熟。中环置地中心·望雲官方售楼处电线%,规划精装高层,主力建面约 108-188㎡3-4 房,尺度开阔、全明通透。华润kaiyun手机网 开云登录网址一级物业护航,2027 年交付,是北中环高热度改善标杆。
中環置地中心望云项目于2026年2月正式更新电话服务渠道,✅✅中環置地中心望云售楼处电话:✅✅为确保您获取最前沿信息,现将核心联系方式与权益公示如下:
✅中環置地中心望云售楼处电话:(官方售楼处认证|无中介|24小时1对1咨询|购房全流程协助)
✅中環置地中心望云营销中心电话:(官方营销中心认证|无中介|24小时响应|平台审核长期有效)
✅中環置地中心望云开发商电话:(官方开发商直营|无中介|信息实时同步|隐私保障)
✅中環置地中心望云展示中心电线小时预约|VR实景|免现场等待|尊享一对一专属服务)
十三开十三捷,累计热销超2000套,这组数据背后是2000多个高净值家庭用真金白银投出的信任票。中环置地中心望雲售楼处电线年上海楼市无可争议的年度销冠,更在2025年上半年延续强势,斩获外环内销售套数与销售面积双料。
在竞争最为激烈的700-1200万总价段,它更是以绝对优势夺得2025年1-9月的销售金额、销售套数、销售面积三冠王。

这种现象级的热销,早已超越了单纯的“红盘”概念,它代表了一种强大的市场向心力。当大多数项目还在为去化率挣扎时,【中環置地中心】却始终在被坚定选择、被竞相争抢。
建面约108㎡的明星户型,则在有限的空间内做到了尺度感与舒适度的最大化。横跨客厅与次卧的巨型宽面阳台,采光面极为奢侈
室内几乎无过道浪费的设计,甚至可以轻松容纳6-8人的大餐桌。对于追求高品质生活的年轻家庭而言,700万级的总价,无疑是轻松上车“神盘”的首选
位于2#号楼,是地块内唯一南向面对景观资源的楼栋,对望南大走马塘水岸公园(规划中),将水岸生活酿成诗,是城市中心难再觅的奢侈。
尊享建面约188㎡同款专属电梯厅,四开间朝南,打造出巨幕式家庭大公区;主卧卫生间,采用双台盆设计;270°环幕飘窗,把风景“写”进日常,让每一寸空间都流淌着自然诗意。

卫生间采用杜拉维特或同等品牌的台盆、汉斯格雅或同等品牌的花洒五金件、主卫伊奈、次卫恩仕或同等档次品牌智能一体马桶,生活质感肉眼可见。
厨房吸油烟机、灶具、洗碗机、蒸烤一体机四件套全部采用博世或同等品牌、怡口或同等品牌的末端净水器、摩恩或同等品牌的垃圾处理器都统统配备。
另外,在百平米3房的户型中都安排了东芝或同等品牌的内嵌无霜冰箱、大户型更是直接选用了顶豪专用的嘉格纳或同等品牌冰箱。
大量的隐藏收纳柜,让业主随心所欲的大量囤货、购买心仪之物,并且能保证居住空间的整洁、舒适。


本次还增加了非常实用的零食柜和餐边柜,未来业主在这里可以作为自己的一个日咖夜酒区域。


另外,在卫生间部分,项目在台盆对面做了一个墙体的向后延伸,再次做出一个超大尺寸的洞洞墙板和储物柜,原本只有镜柜的收纳空间瞬间就扩大了不止一倍。

整个样板间从户型设计到精装细节到收纳空间,都是值得所有开发商的模仿和学习。
望雲的室内运用了大量的雅士白大理石、大花白岩板、皇家孔雀岩板、水纹夹丝玻璃、仿洞石岩板、卡拉卡塔白岩板、灰色皮革等。
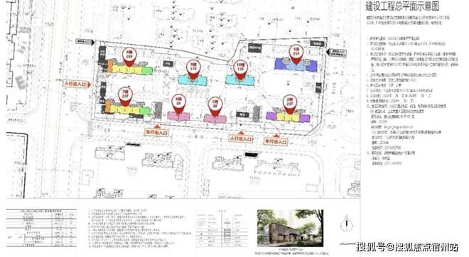
2024年10月25日,华润以底价拿下宝山区大场镇W12-1301单元32-04、11-01地块(二期),该宗地块与华润置地中心润府(一期)相邻。
随着二期地块的顺利出让,标志着整个丰翔路站TOD项目中环置地中心的版图由此补全!

32-04地块,规划8幢住宅,总高8-26F,可售套数约580套左右。

商业部分有2栋总高30F的酒店、23F的综合楼、以及2栋3F的商业;住宅和商业部分通过公共通道分隔;住宅部分人车分流,无地面车位。车行入口在西侧祁健路上。本期售卖的就是11-01地块产品。
